買いたい
土地
黒部市田家野
NEW
土地
NEW
黒部市田家野
建築条件無!
広々130坪・南向き!
融雪装置完備で積雪時も安心♪
旧8号線へアクセス良好な閑静な住宅地です。♪
260
万円
チェックポイント
物件資料(PDF)⇒https://www.smarre.jp/wp-content/uploads/2026/04/253b4b7ddbe773afef76e9a710e502b2.pdf
-
所在地
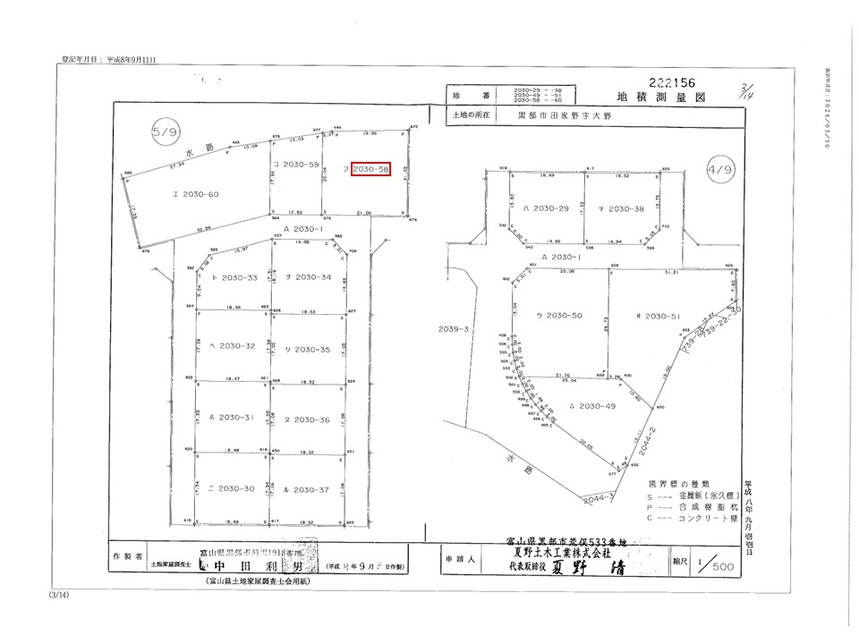
黒部市田家野字大野2030番58
-
土地面積
(公簿・実測)131.89坪(436㎡)(公簿)
-
最寄駅
あいの風とやま鉄道 黒部駅
物件概要
| 物件名 | 黒部市田家野 | ||
|---|---|---|---|
| 物件所在地 | 黒部市田家野字大野2030番58 | ||
| 交通機関 | |||
| 土地面積 (公簿・実測) |
131.89坪(436㎡)(公簿) | 坪単価 | 約2万円 |
| 敷地の権利形態 | 所有権 | ||
| 建ぺい率 | 60% | 容積率 | 200% |
| 都市計画 | 非線引区域 | 用途地域 | 無指定 |
| 最適用途 | 住宅用地 | ||
| 地勢 | 地目 | 畑 | |
| 接道状況 | 南側6m公道 間口:21.09m |
||
| 開発許可番号 | |||
| 現況 | 畑 | 引渡時期 | 農地転用許可後 |
物件概要
| 物件名 | 黒部市田家野 |
|---|---|
| 物件所在地 | 黒部市田家野字大野2030番58 |
| 交通機関 | |
| 土地面積 (公簿・実測) |
131.89坪(436㎡)(公簿) |
| 坪単価 | 約2万円 |
| 敷地の権利形態 | 所有権 |
| 建ぺい率 | 60% |
| 容積率 | 200% |
| 都市計画 | 非線引区域 |
| 用途地域 | 無指定 |
| 最適用途 | 住宅用地 |
| 地勢 | |
| 地目 | 畑 |
| 接道状況 | 南側6m公道 間口:21.09m |
| 開発許可番号 | |
| 現況 | 畑 |
| 引渡時期 | 農地転用許可後 |
備考
| 要農地転用許可申請 黒部市の土地探しは「不動産のスマーレ」へ! |
その他
| 水道・下水 | 水道:無し(要井戸掘削工事) 下水:無し(要浄化槽設置工事) |
||
|---|---|---|---|
| 小学校 | たかせ小学校 | 中学校 | 清明中学校 |
| 近隣施設 | |||
その他
| 水道・下水 | 水道:無し(要井戸掘削工事) 下水:無し(要浄化槽設置工事) |
|---|---|
| 小学校 | たかせ小学校 |
| 中学校 | 清明中学校 |
| 近隣施設 |
取引形態
専任媒介
物件管理番号
情報公開日
2026年04月24日